Angriff aus dem Mikrokosmos

Biofilme: eine unsichtbare Gefahr in der Food- und Pharmaindustrie

Biofilme entstehen im Verborgenen und werden oft übersehen. Treten schließlich sichtbare Beläge, Gerüche oder Verstopfungen auf, ist es nicht mehr weit bis zur Biokorrosion, bei der Biofilme das Anlagenmaterial wie Stahl oder Kunststoffdichtungen zersetzen. Daher ist es wichtig, geeignete Detektionsverfahren einzusetzen und erste Anzeichen fürBiofilme richtig zu interpretieren.

Biofilme: eine unsichtbare Gefahr in der Food- und Pharmaindustrie

  • Im Biofilm sind unterschiedliche Mikroorganismen vergesellschaftet, die damit ihre Überlebensfähigkeit steigern. Durch erhöhte Stoffumsätze kann sich der pH-Wert erheblich verändern, organische Säuren
    und aggressive Gase werden freigesetzt.
  • Als Folge entsteht zunächst Biofouling mit einer
    starken, sichtbaren Belagsbildung, Gerüchen und
    Verstopfungen, die zu Störungen an Pumpen oder Membranen führen können. Schließlich setzt die
    Biokorrosion ein.
  • Dadurch können auch an korrosionsfesten Werkstoffen und Stählen in einem an sich neutralen Medium Korrosionsschäden entstehen.
  • Biofilme lassen sich nur selten durch eine erhöhte Keimzahl im Produkt nachweisen und werden deshalb leicht übersehen. Zuverlässiger lassen sie sich mithilfe endoskopischer Verfahren, eingehängter Testcoupons oder spezieller Biofilmsensoren nachweisen.
  • Um Biokorrosion zu vermeiden, sollte bereits die Entstehung von Biofilmen eingeschränkt werden. Dies geschieht über das Hygienic Design von Anlagen und durch eine richtige Desinfektions- und Reinigungsstrategie.
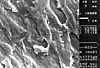
Rasterelektronenmikroskopische Aufnahme einer Edelstahlprobe im unbehandelten Zustand.
Rasterelektronenmikroskopische Aufnahme einer Edelstahlprobe im unbehandelten Zustand.
Rasterelektronenmikroskopische Aufnahme einer Edelstahlprobe nach einwöchiger Inkubation mit Penicillium spec.: Deutlich erkennbar ist die angegriffene Oberfläche, verbunden mit einem Materialverlust und einer erhöhten Oberflächenrauigkeit.
Rasterelektronenmikroskopische Aufnahme einer Edelstahlprobe nach einwöchiger Inkubation mit Penicillium spec.: Deutlich erkennbar ist die angegriffene Oberfläche, verbunden mit einem Materialverlust und einer erhöhten Oberflächenrauigkeit.
Der Biofilm auf einer Unterlegscheibe einer CIP-Anlage haftet fest an der Oberfläche und lässt sich auch durch Reinigung nicht mehr entfernen.
Der Biofilm auf einer Unterlegscheibe einer CIP-Anlage haftet fest an der Oberfläche und lässt sich auch durch Reinigung nicht mehr entfernen.
Trotz CIP wachsen auf der Unterlegscheibe Schimmelpilze .
Trotz CIP wachsen auf der Unterlegscheibe Schimmelpilze .
Auf einer Edelstahlprobe versuracht der Biofilm biogenem Lochfraß (REM-Aufnahme).
Auf einer Edelstahlprobe versuracht der Biofilm biogenem Lochfraß (REM-Aufnahme).

Biofilme sind eine ubiquitär vorkommende, hoch spezialisierte Lebensform und spielen in unserem Ökosystem eine wichtige Rolle. In Produktionsanlagen für Lebensmittel und Medikamenten können sie erhebliche Schäden anrichten. Sie beeinträchtigen unter Umständen nicht nur die Lebensmittelqualität bzw. Sterilität von Medizinprodukten. Biofilme können auch, wenn sie sich unbehelligt ausbreiten und vermehren, zu einem völlig veränderten Milieu führen und so eine hochkorrosive Umgebung schaffen. In diesem Fall entstehen durch biologischen Lochfraß Schäden an Maschinen und Anlagen, fallen aufgrund von Leckagen und Verstopfungen Pumpen und Ventile aus, die Permeatausbeuten von Filter- und Osmoseeinheiten gehen zurück. Dann (und manchmal erst dann) lassen sich auch Auffälligkeiten und Kontaminationen im Produkt nachweisen. Im Rahmen von GMP und Produkthygiene gibt es zwar eine Reihe von Vorschriften, um die Keimfreiheit von Produkt und Anlagen aufrecht zu erhalten. Bei der Betrachtung mikrobiologischer Prozesse drängt sich jedoch die Frage auf, ob diese Verfahren noch zeitgemäß und vor allem, ob sie überhaupt effektiv sind. Denn die aktuelle Forschung zeigt: die Lebensform Biofilm verschafft den Mikroorganismen erhebliche Vorteile! Neben Schutz vor Abscherung und Resuspension schützt die Biofilmmatrix auch vor einem wechselnden pH-Wert und vor Desinfektionsmitteln. Daraus resultieren Probleme, welche bisher in der Food- und Pharmabranche vernachlässigt wurden: Zum einen werden Biofilme durch ein ungeeignetes Monitoring erst gar nicht erfasst. Zum anderen begünstigt eine falsch verstandene Sicherheit beim Einsatz von Desinfektions- und Reinigungsverfahren Biofilme im System womöglich noch.

Konkurrenzkampf und
Kommunikation im Biofilm

Seit einigen Jahren ist bekannt, dass Mikroorganismen nicht wie bisher angenommen einfach so in Flüssigkeiten schwimmen oder an Oberflächen kleben. Sie kommunizieren und gestalten auf diese Weise nicht nur ihre Erscheinungsform als suspendierte Organismen oder Biofilm, sie entscheiden damit auch über ihre Stoffwechselaktivität und ihren Reproduktionszustand. Mikroorganismen sind äußerst erfolgreich, wenn es ums Überleben geht. Sie folgen dem biologischen Prinzip „wenn´s einer schafft, haben alle gewonnen“. Um dieses Prinzip umzusetzen, bedienen sich die Mikroben einer Vielzahl von Mechanismen. Sie bilden Schleimhüllen gegen Austrocknung, UV-Schutz-Pigmente, bombardieren konkurrierende Mikroben mit Zellgiften oder aber opfern sich selbst beim Kontakt mit Bioziden.
Diese Vergesellschaftung unterschiedlichster Mikroorganismen wird als Biofilm bezeichnet. Die Protagonisten eines solchen Biofilms können völlig unterschiedliche Lebensansprüche haben. Durch das symbiotische Zusammenwirken vieler verschiedener Spezialisten erhöht sich im Biofilm die Überlebensfähigkeit der Mikroben erheblich – eine kleine Welt für sich. Die Entstehung eines Biofilms wird in der Regel als Antwort auf einen Mangel oder Umwelteinfluss durch die Mikroben eingeleitet, indem sie sich per Mehrheitsbeschluss über Boten- und Signalstoffe über ihr Erscheinungsbild abstimmen. Aus einzelnen suspendierten Zellen werden plötzlich Zellverbände, die mittels extrazellulären polymeren Substanzen (EPS) an Oberflächen anheften und Mikrostrukturen ausbilden. So entstehen aerobe und anaerobe Bereiche, Kanäle, Belüftungselemente usw. Gerade die aus Polysacchariden, Proteinen und Lipiden bestehende Biofilmmatrix ist Erfolgsgarant im Überlebenskampf. In der Gelmatrix reichern sich Nährstoffe an, die Mikroorganismen sind vor extremen pH-Werten, Bioziden und hydraulischen Belastungen geschützt.
Da die Mikroorganismen fest im Biofilm arretiert sind, ist keine kontinuierliche Abgabe an das umgebende Medium zu erwarten. Ein Biofilm-Monitoring durch Produktkontrolle ist damit nahezu unmöglich. Stattdessen wird es immer mal wieder Auffälligkeiten geben. Plötzlich treten erhöhte Keimbelastungen auf und verschwinden auch gleich wieder. Gesetzmäßigkeiten lassen sich nicht erkennen. Manchmal treten solche Auffälligkeiten gerade nach der CIP oder Desinfektion auf, ein Zeichen dafür, dass durch die Behandlung die Biofilmmatrix destabilisiert wurde und nun Scherkräfte, z.B. durch gepulstes Spülen, Teile des Biofilms im System verteilen.

Vom Biofilm zur Biokorrosion
Die geschilderten Eigenschaften des Biofilms sorgen aber auch für das korrosive Potenzial: Biofilme sind Orte erhöhter Stoffumsätze und gesteigerter Primärproduktion. Als Folge davon verändert sich das Milieu im Vergleich zum umgebenden Medium. Der pH-Wert kann um Größenordnungen schwanken, organische Säuren können sich aufkonzentrieren und aggressive Gase freigesetzt werden. Letztendlich führt dies dazu, dass auch korrosionsfeste Werkstoffe und Stähle in einem an sich neutralen Medium Korrosionsschäden zeigen. Der Grund dafür ist, dass der Biofilm das Medium an der Grenzfläche zum Werkstoff ersetzt und somit die physikalisch-chemischen Bedingungen an der Werkstoffoberfläche und damit das Korrosionsgeschehen bestimmt.
Bis aus natürlich vorkommenden Biofilmen ein gefährliches Potenzial erwächst, durchläuft der Biofilm zunächst ein Zwischenstadium, das sogenannte Biofouling. Darunter versteht man die unerwünschte und übermäßige Vermehrung der Mikroorganismen; zunächst noch ohne korrosive Wirkung aber dennoch mit Konsequenzen für Maschinen und Anlagen: Das Stadium des Biofoulings ist gekennzeichnet durch starke und nun auch sichtbare Belagsbildung, Geruchsentwicklung, Verstopfungen. Im Betriebsablauf treten erste Störungen an Pumpen, Membranen und Kühlern auf. Nun ist Handlungsbedarf gegeben. Wenn möglich und zugänglich sollte endoskopiert und mit sterilen Tupfern Oberflächenabstriche gemacht werden, um diese anschließend zu mikroskopieren. Eine KBE-Bestimmung durch Ausstreichen auf Nährböden kann gleichzeitig, sollte aber nie als alleinige Maßnahme durchgeführt werden. Oftmals leben im Biofilm viele Keime, welche

  • produktuntypisch und daher nicht beprüft werden,
  • als Wildstämme womöglich gar nicht kultivierbar oder in einem inaktiven Zustand sind.

Bei der Suche nach Biofilmen sollte man nicht nur den produktführenden Teil der Anlage, sondern auch das Disposable, Prozess- und Brauchwassersystem betrachten oder im Kühlwasserbereich nachschauen.
Werden diese Anzeichen nicht beachtet oder falsch gedeutet, so kann nun ungehindert Biokorrosion auftreten. Dabei folgt die mikrobiell induzierte Korrosion am Anlagenstahl im Wesentlichen elektro-chemischen Prozessen. So beeinflussen die Mikroorganismen das Redoxpotenzial, den pH-Wert und die Sauerstoffkonzentration auf der Metalloberfläche. Sie depolarisieren den Werkstoff, bilden lokale Kathoden oder Belüftungszellen. Im Biofilm werden zudem Elektrolyte aufkonzentriert, die korrosiv auf das Metall wirken. So entsteht biogener Lochfraß, welcher auf den ersten Blick wie gewöhnlicher Rost aussieht. Auch polymere Werkstoffe wie Dichtungen greifen die Mikroorganismen an. Im Vergleich zu Stählen liefern diese Materialien dummerweise gleich noch die passenden Nährstoffe: So werden durch Exoenzyme Weichmacher, Additive oder niedermolekulare Copolymere aus dem Werkstoff herausgelöst. Im Trinkwasserbereich ist man bereits dazu übergegangen, Kunststoffe und Dichtungsmaterialien nach DVGW W270 auf ihre Biofilmneigung hin zu prüfen. Zudem hat sich gezeigt, dass die Abbaubarkeit der Materialien mit zunehmender Polymerlänge und wachsendem Vernetzungsgrad sinkt.

Das Übel an der Wurzel packen
Der beste Ansatz, Biokorrosion zu vermeiden, ist die Entstehung von Biofilmen einzuschränken. Dabei steht an erster Stelle die Vermeidung von sogenannten Conditionial Films. Das sind erste Ablagerungen von Makromolekülen und Schmutz, wie sie durch Rückstände von Produkt an Leitungen usw. entstehen können. Im Hygienic Design ist dies bereits durch Vorgabe entsprechender Oberflächenmodifikationen und Rauigkeiten berücksichtigt. Was fast immer vernachlässigt wird, ist die Tatsache, dass auch abgetötete Biofilme, welche zwar steril sein mögen, eine erneute Besiedlung der Oberflächen mit Mikroorganismen stark begünstigen. Selbst wenn es nicht zu einer erneuten Besiedlung kommt, behalten diese Beläge ihr Korrosionspotenzial. Durch Depolarisation bilden sich Lokalelemente aus, Lochfraß droht. Zu einer cleveren Biofilmvermeidungsstrategie gehören deshalb sowohl Desinfektion als auch Reinigung.
Dennoch werden sich Biofilme nicht vollständig unterdrücken lassen. Zum Einen bringen gerade viele Lebensmittel produktbedingt eine Reihe von Mikroorganismen mit, zum Anderen sind Produktionsbetriebe und Mitarbeiter bestenfalls keimarm aber nicht keimfrei. Daher muss regelmäßig kontrolliert werden, ob und wie weit sich Biofilme im System bilden. Noch einmal: die Anwesenheit von Biofilmen im System lässt sich nur selten durch eine erhöhte Keimzahl im Produkt nachweisen. Man läuft also Gefahr, beim „normalen“ Hygienemonitoring, Biofilme zu übersehen. Treten jedoch stoßweise und in unregelmäßigen Abständen Auffälligkeiten auf, so kann dies auf Biofilme hinweisen. Andere Möglichkeiten zur Biofilmdetektion sind

  • endoskopische Verfahren, z.B. auch mit UV-Anregung (kleinste Biofilme werden im Streulicht sichtbar),
  • das Einhängen von Testcoupons (hier lässt sich auch verfolgen, ob Biokorrosion auftritt) oder
  • spezielle Biofilmsensoren, welche in Rohrwandungen eingebaut werden können und vor Ort die Biofilmbildung überwachen.

Aber auch ohne spezielle Technik können Biofilme durch aufmerksames Beobachten der Betriebsparameter aufgespürt werden. Geringere Pumpleistungen, erhöhte DOC-Werte, Leckagen im Disposable, geringere Wärmeübergänge – schuld daran können Biofilme sein.

Fazit
Biofilme sind naturgegeben, können aber durch geeignete Materialauswahl, Hygienic Design und ein geeignetes Monitoringverfahren kleingehalten werden. Damit lassen sich sowohl Biofouling als auch Biokorrosion verringern oder sogar vermeiden. Dennoch darf nicht vergessen werden, dass der Biofilm eine Lebensform darstellt, welche sich immer neu den Umgebungsbedingungen anpassen wird. Wer dies berücksichtigt und dabei immer ein Auge auf die Betriebsparameter hat, kann die eine oder andere böse Überraschung vermeiden.

infoDIRECT 1003PF606

Unternehmen